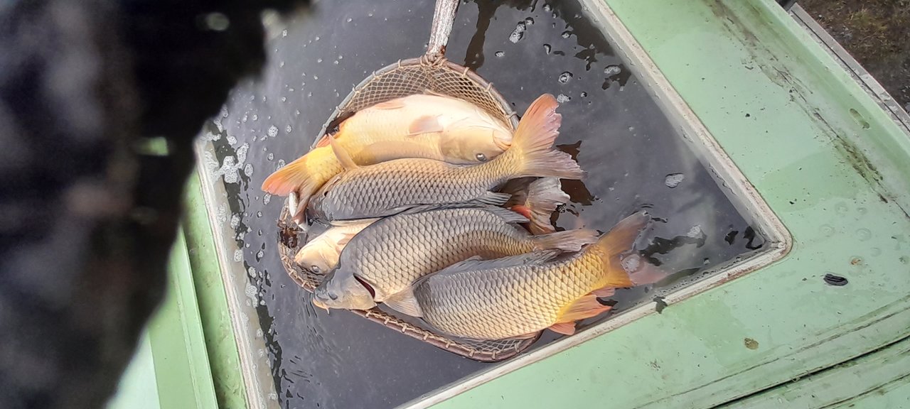
Nejprve přivezli rybáři z Rožmitálu pod Třemšínem dotaci kapra od Středočeského územního svazu. Celkem 1370 kg bylo rozděleno mezi potok a retenční nádrž.
Odpoledne jsme potom ještě z vlastního výlovu do retenční nádrže nasadili dalších 900 kg kapra a 110 kg lína. Zároveň jsme v rámci plnění zarybňovacího plánu nasadili 100 ks dvouletého kapra a 100 ks amura do nádrže Selná.

