DOMŮ
O SPOLKU
INFORMACE
AKTUALITY
FOTOGALERIE
MLÁDEŽ
AKTUALITY
FOTOGALERIE
KONTAKTY
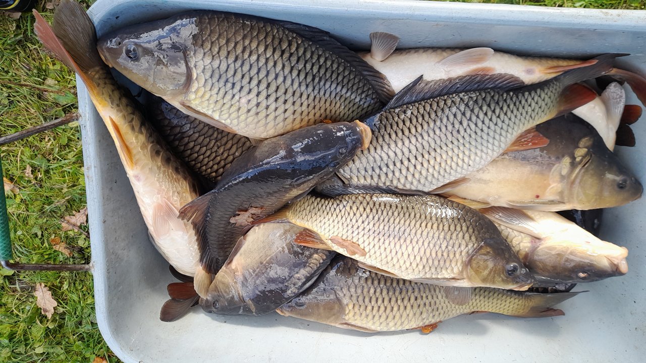
Nasazení Mastníku 1
V sobotu 18. října 2025 jsme do revíru 411 062 Mastník 1 vysadili ryby z vlastní produkce:
1 600 kg kapra
150 kg lína
200 kg bílé ryby
60 kg štiky
Zpět na články...